Planning
Public Comments (3) | PA17/04181 | Application for the approval of Reserved Matters pursuant to hybrid permission PA12/10064 for
180314 | Approved with conditions | PA17/04181 Application approval Reserved Matters pursuant to hybrid permission PA12/10064
Application for the approval of Reserved Matters pursuant to hybrid permission PA12/10064 for 27 residential units (comprising 10 apartments and 17 houses), 435 sqm of Class A3 floorspace for restaurant use, including access, parking and associated landscaping. - Hayle Harbour South Quay Hayle Cornwall TR27 4BL
Ref. No: PA17/04181 | Received date: Thu 04 May 2017 | Status: Approved with conditions | Case Type: Planning Application
PA17/11490 | Listed building consent application for repair of existing original sash windows, front door, side and rear doors a
Listed building consent application for repair of existing original sash windows, front door, side and rear doors and frames. 2 New windows - 15 Steamers Hill Angarrack Hayle Cornwall TR27 5JB
Ref. No: PA17/11490 | Received date: Thu 30 Nov 2017 | Status: Approved with conditions | Case Type: Planning Application read more »
180202 | Council welcomes funding to unlock housing development in Cornwall - Cornwall Council
180221 | PA17/11763 | Removal of garden potting shed & construction of garage & artist studio. | 15 Steamers Hill Angarrack Hayl
PA17/11763 | Removal of garden potting shed & construction of garage & artist studio. | 15 Steamers Hill Angarrack Hayle Cornwall TR27 5JB
PA18/00269 | Non-material amendment to approval PA17/06782. Proposed increase in finished ridge height and ground floor level by
Application for a non-material amendment to approval PA17/06782. Proposed increase in finished ridge height and ground floor level by up to 450mm. - Land NW Of 5 Grist Lane Angarrack Cornwall
Ref. No: PA18/00269 | Received date: Wed 10 Jan 2018 | Status: Pending Consideration | Case Type: Planning Application
180104 | Lidl, KFC, Home Bargains and Starbucks retail park in Camborne meets opposition after Cornwall Council recommends alter
Lidl, KFC, Home Bargains and Starbucks retail park in Camborne meets opposition after Cornwall Council recommends alternate sites
It is hoped the site at Roseworthy Hill will open in 2019 read more »
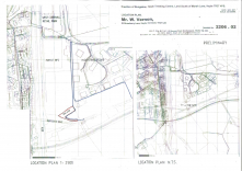
171212 | PA17/04181 Proposal: Application for the approval of Reserved Matters pursuant to hybrid permission PA12/10064 for 27 r
Andrew Turner shared a link.
Application number: PA17/04181
Proposal: Application for the approval of Reserved Matters pursuant to hybrid read more »
PA17/10265 | Listed building consent to replace existing plastic gutters and down pipes with aluminium seamless ones. - 15 Stea
Listed building consent to replace existing plastic gutters and down pipes with aluminium seamless ones. - 15 Steamers Hill Angarrack Hayle Cornwall TR27 5JB
Ref. No: PA17/10265 | Received date: Fri 27 Oct 2017 | Status: Approved with conditions | Case Type: Planning Application read more »
171205 | PA17/11083 | Demolish all existing buildings and forecourt structures inc removal of underground fuel tanks and infras
PA17/11083 | Demolish all existing buildings and forecourt structures inc removal of underground fuel tanks and infrastructure. Construct new sales building, forecourt canopy (car & hgv), fuel dispensers, fenced external bin store, ad blue tank, external plant, forecourt pavings. Install underground fuel tanks, new fuel pipework inc vent stack and replacement external floodlighting.
| Shell Oil Uk Ltd Garage 15 Carwin Rise Loggans Hayle Cornwall TR27 5DG
171221 | Extract from FLOOD RISK AND DRAINAGE ASSESSMENT FOR SHELL HAYLE AT CARWIN RISE , HAYLE , CORNWALL
Extract from FLOOD RISK AND DRAINAGE ASSESSMENT FOR SHELL HAYLE AT CARWIN RISE , HAYLE , CORNWALL report
3.0 FLOOD RISK ASSESSMENT
3.1 Assessment Approach
This assessment aims to minimise any impact of the development on flood risk through
adequate consideration of flooding issues and the inclusion of appropriate mitigation.
3.2 Fluvial Flood Risk
The development area, because of its proximity to a main river, is considered to be at
risk of fluvial flooding despite the presence of flood defences in the form of bunds that
have been constructed along both banks of the main river.
The map showing the local main rivers and other watercourses in the area is provided
in Appendix G. read more »
PA17/03341/PREAPP | Pre application for the erection of a bungalow, improvements to existing access and installation of septic t
Pre application for the erection of a bungalow, improvements to existing access and installation of septic tank - Hayle Trekking Centre Marsh Lane Hayle Cornwall TR27 4PS
Ref. No: PA17/03341/PREAPP | Received date: Fri 08 Dec 2017 | Status: Closed - advice given | Case Type: Planning Application
PA17/11490 | Listed building consent application for repair of existing original sash windows, front door, side and rear doors a
Listed building consent application for repair of existing original sash windows, front door, side and rear doors and frames. 2 New windows - 15 Steamers Hill Angarrack Hayle Cornwall TR27 5JB
Ref. No: PA17/11490 | Received date: Thu 30 Nov 2017 | Status: Pending Consideration | Case Type: Planning Application read more »
PA17/11763 | Removal of garden potting shed & construction of garage & artist studio. - 15 Steamers Hill Angarrack Hayle Cornwa
Removal of garden potting shed & construction of garage & artist studio. - 15 Steamers Hill Angarrack Hayle Cornwall TR27 5JB
Ref. No: PA17/11763 | Received date: Mon 11 Dec 2017 | Status: Pending Consideration | Case Type: Planning Application read more »
PA17/11764 | Listed building consent application for removal of garden potting shed & construction of garage &artist studio. -
Listed building consent application for removal of garden potting shed & construction of garage &artist studio. - 15 Steamers Hill Angarrack Hayle Cornwall TR27 5JB
Ref. No: PA17/11764 | Received date: Mon 11 Dec 2017 | Status: Pending Consideration | Case Type: Planning Application read more »
171212 | Approved with conditions | PA17/02422 | Change of use of existing stable to dwelling annexe for disabled person. - The
Change of use of existing stable to dwelling annexe for disabled person. - The Orchard 1 Riverside Angarrack Hayle Cornwall TR27 5JD
Ref. No: PA17/02422 | Received date: Mon 13 Mar 2017 | Status: Approved with conditions | Case Type: Planning Application171212 | Discharged | PA17/04948 | Submission of details to discharge condition 6 in respect of Decision Notice PA
Submission of details to discharge condition 6 in respect of Decision Notice PA17/00288 dated 9th March 2017 - 12 Back Lane Angarrack Cornwall
Ref. No: PA17/04948 | Received date: Tue 23 May 2017 | Status: Discharged | Case Type: Planning ApplicationApproved with conditions | PA17/08038 | Outline planning permission for erection of a dwelling with some matters reserved - Land
Outline planning permission for erection of a dwelling with some matters reserved - Land NE Of 21 Steamers Hill Angarrack Cornwall
Ref. No: PA17/08038 | Received date: Mon 21 Aug 2017 | Status: Approved with conditions | Case Type: Planning ApplicationSCHEDULE ATTACHED TO APPLICATION & DECISION NO: PA17/08038
CONDITIONS:
read more »Approved unconditional | PA17/10300 | Application for non-material amendment to application PA17/06782 (Erection of a new dwelli
Application for non-material amendment to application PA17/06782 (Erection of a new dwelling and detached garage) regarding removal of trees to allow trees on the North-West and North-East of building plot to remain - Land NW Of 5 Grist Lane Angarrack Cornwall
Ref. No: PA17/10300 | Received date: Fri 27 Oct 2017 | Status: Approved unconditional | Case Type: Planning ApplicationPA17/10265 | Listed building consent to replace existing plastic gutters and down pipes with aluminium seamless ones. - 15 Steam
Listed building consent to replace existing plastic gutters and down pipes with aluminium seamless ones. - 15 Steamers Hill Angarrack Hayle Cornwall TR27 5JB
Ref. No: PA17/10265 | Received date: Fri 27 Oct 2017 | Status: Pending Consideration | Case Type: Planning Application
Translate

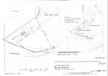
Mr Stephen Murley 24 Tredrea Lane St Erth TR27 6JS