Village News

Christmas Lights

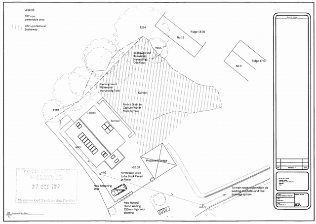
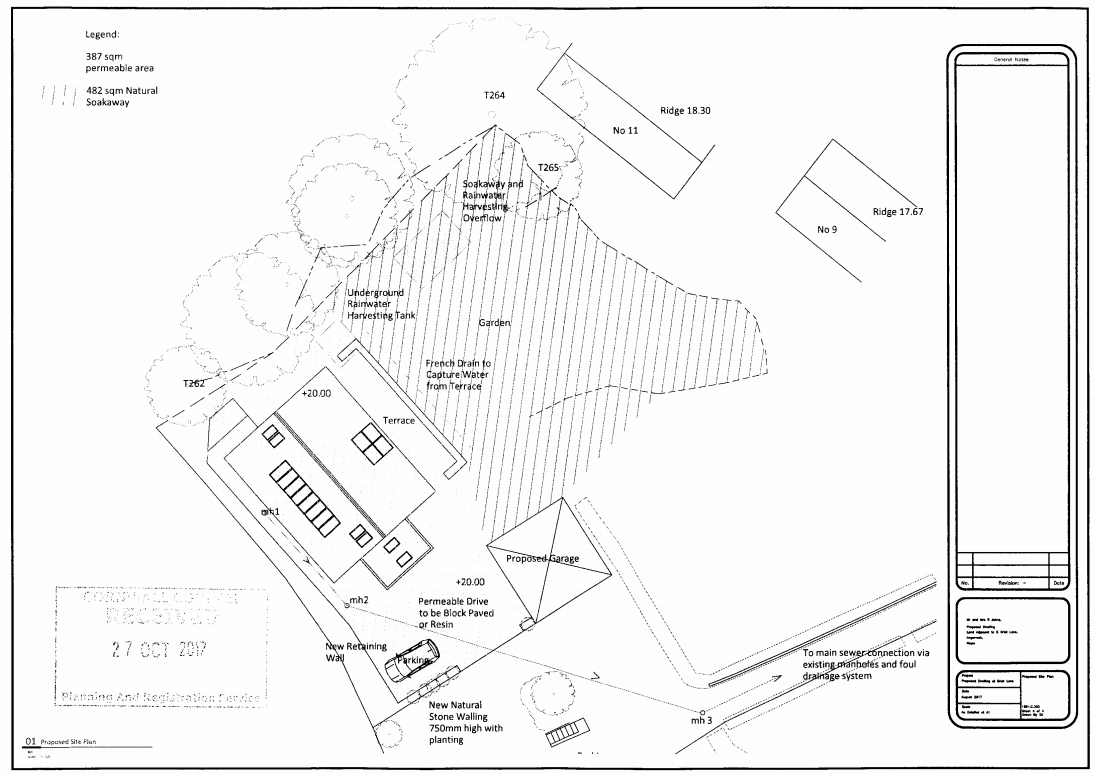
171027 | PA17/10300 | Application for non-material amendment to application PA17/06782 (Erection of a new dwelling and detached

Book page

TitleCreated
2026-EXTENDED-17th April 2026 to 22nd April- Resurfacing Steamers Hill; Hatchs Hill; Angarrack Lane | 1 Apr 07:30 - 17 Apr 23:59 1 week 7 hours agoBook page
2026-April-POSTPONED-planned improvements i.e. install footpath, paint double yellow lines junction Grist Lane Hatchs Hill 1 week 3 days agoBook page
2026 - Resurfacing Steamers Hill; Hatchs Hill; Angarrack Lane | 1 Apr 07:30 - 17 Apr 23:59 3 weeks 1 day agoBook page
250330; Closure order:30 Mar-17 Apr 2026; 07:30-17:00; Clearway Parking Zone; Hatchs Hill, Steamers Hill and Angarrack Lane 4 weeks 3 days agoBook page
Traffic/Roads - Marsh/Grist Lane - Traffic counts 2019 onwards 16 weeks 14 hours agoBook page
Approved with conditions | PA25/07094 | First floor extension over existing garage to create Art studio with guest bedroom... 20 weeks 3 days agoBook page
PA25/07094 | First floor extension over existing garage to create Art studio with guest bedroom, covered parking area below | As 21 weeks 2 days agoBook page
251027 | 20mph Monitoring—Hayle & St Ives Speed Data; Phase 3a-May-Jun 24 v Sep-Oct 24; Steamers Hill; Gwinear;Carbis;Nancledra 25 weeks 2 days agoBook page
PA25/07184 | Retention of 4no. existing holiday pods, swimming pool, incidental building, extended driveway and annexe converted 25 weeks 5 days agoBook page
251009 | Stark reality of life in Cornwall revealed through 2025 Vital Signs Report 27 weeks 6 days agoBook page
251010 | Cornwall backs 20mph rollout; St Austell's the only town to reject the plans 27 weeks 6 days agoBook page
250930 | Cornwall’s 20 mph speed limits have made the roads much safer 29 weeks 2 days agoBook page