- Apr 22: EXTENDED to 22 Apr;Closure:30 Mar-22 Apr 2026; 07:30-17:00; Clearway Parking Zone; Hatchs Hill, Steamers Hill and Angarrack Lane (1 day)
- Apr 24: Mobile Library | Friday 24 Apr 2026 (4 days)
- May 22: Mobile Library | Friday 22 May 2026 (32 days)
- Jun 19: Mobile Library | Friday 19 Jun 2026 (60 days)
PA15/03669 | Reserved Matters Application For The Creation Of New Footpath Through Isis Gardens, Connecting Foundry Square To Th
Submitted by Angarrack.info ... on Tue, 22/03/2016 - 11:39.
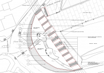
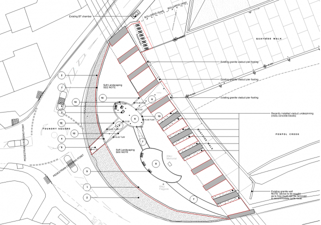
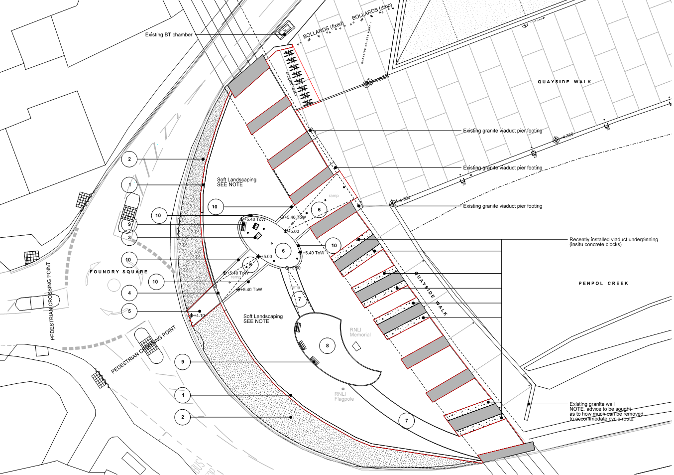
RESERVED MATTERS APPLICATION FOR THE CREATION OF NEW FOOTPATH THROUGH ISIS GARDENS, CONNECTING FOUNDRY SQUARE TO THE PUBLIC REALM AND DEVELOPMENT ON SOUTH QUAY. SOUTH QUAY, HAYLE - South Quay Hayle Cornwall
Ref. No: PA15/03669 | Received date: Mon 20 Apr 2015 | Status: Pending Decision | Case Type: Planning Application
| Reference | PA15/03669 |
|---|---|
| Alternative Reference | N/A |
| Application Received | Mon 20 Apr 2015 |
| Application Validated | Wed 29 Apr 2015 |
| Address | South Quay Hayle Cornwall |
| Proposal | RESERVED MATTERS APPLICATION FOR THE LANDSCAPING OF AND CREATION OF NEW FOOTPATH THROUGH ISIS GARDENS, CONNECTING FOUNDRY SQUARE TO THE PUBLIC REALM AND DEVELOPMENT ON SOUTH QUAY. SOUTH QUAY, HAYLE |
| Status | Awaiting decision |
| Appeal Status | Unknown |
| Appeal Decision | Not Applicable |
There is 1 case associated with this application.
There are 2 properties associated with this application.
| Case Number : | PA15/03669 |
| APPLICATION FORM |
| Name or Detail | Received Date | |
![]() | 20/04/2015 |
| CORRESPONDENCE IN |
| Name or Detail | Received Date | |
![]() | Matt Williams | 20/04/2015 |
![]() | Hayle TC | 22/07/2015 |
![]() | Extension of time letter | 02/09/2015 |
![]() | Ben Wiliamson | 09/02/2016 |
![]() | Matt Williams | 09/02/2016 |
![]() | Matt Williams | 09/02/2016 |
| PLAN - PROPOSED |
| Name or Detail | Received Date | |
![]() | 1687/L/7050 P5 | 20/04/2015 |
![]() | 1687/L/7052 P3 | 20/04/2015 |
![]() | Revised plans | 17/03/2016 |
| PLAN - SITE LOCATION |
| Name or Detail | Received Date | |
![]() | 1687/L/1010 | 20/04/2015 |
| REPRESENTATIONS RECEIVED - 4 YEAR DISPOSAL |
| Name or Detail | Received Date | |
![]() | Environment Agency Response | 06/05/2015 |
![]() | SWW | 08/05/2015 |
![]() | HE | 20/05/2015 |
| STATEMENT - DESIGN AND ACCESS |
| Name or Detail | Received Date | |
![]() | Design and Access Statement (part 1 of 2) | 20/04/2015 |
![]() | Design and Access Statement (part 2 of 2) | 20/04/2015 |
Contributions
- Angarrack Defibrillator Team (25)
- Angarrack Inn (336)
- Angarrack Methodist Chapel (3)
- Carol (15)
- Gail (1)
- GordonG (12)
- Hayle Development Group on Facebook (5)
- Hayle Harbour Authority (4)
- Hayle Town Council (5)
- louise (1)
- Lynne (111)
- Mal (1)
- MattBuckley66 (9)
- Neil (22)
- Neils Garden Care (9)
- Russell (21)
- Secretary - Christmas Lights (141)
- Steve (3)
- webmaster (5122)
Book page
Similar
- 140814 | PA14/05496 25/7/14 Mr Phil Ellis, Bowmer and Kirkland Reserved matters application for the creation of new footpath thr
- 120219 | Secretary of State returns ING South Quay application to case officer | John Bennett
- 120130 | Recommendation by old Government Office SW to Secretary of State should be sent within a week | John Bennett
- ING Plans Summer 2011 | South Quay 2011
- ING earlier phase | South Quay 2008, 2009, 2010
Similar across site
- PA15/03669 | Reserved Matters Application For The Creation Of New Footpath Through Isis Gardens, Connecting Foundry Square To Th
- 140814 | PA14/05496 25/7/14 Mr Phil Ellis, Bowmer and Kirkland Reserved matters application for the creation of new footpath thr
- 120219 | Secretary of State returns ING South Quay application to case officer | John Bennett
- 120130 | Recommendation by old Government Office SW to Secretary of State should be sent within a week | John Bennett
- ING Plans Summer 2011 | South Quay 2011







Recent comments
11 weeks 5 days ago
16 weeks 5 days ago
16 weeks 5 days ago
31 weeks 5 days ago
51 weeks 2 days ago
51 weeks 2 days ago
51 weeks 2 days ago
51 weeks 2 days ago
1 year 21 weeks ago
1 year 35 weeks ago